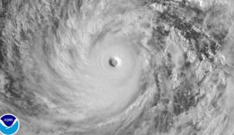
জাপানে সোমবার সকালে আঘাত হেনেছে শক্তিশালী টাইফুন ভংফং। এতে এখন পর্যন্ত একজন নিখোঁজ ও বেশ কয়েকজন আহত হওয়ার খবর পাওয়া গেছে। টাইফুনের কারণে ৩ শতাধিক ফ্লাইট বাতিল করা হয়েছে।
জাপানের আবহাওয়া সংস্থা জানায়, সোমবার স্থানীয় সময় সকাল সাড়ে ৮টায় জাপানের দক্ষিণাঞ্চলের প্রধান দ্বীপ কাইসুর মাকুরাজাকিতে টাইফুন ভংফং আঘাত হানে। এর প্রভাবে ঘণ্টায় কমপক্ষে ১শ’ ৮০ কিলোমিটার বেগে ঝড় তীরে আছড়ে পড়ছে।
এটি ঘণ্টায় ৩০ কিলোমিটার বেগে জাপান দ্বীপপুঞ্জের মধ্য দিয়ে উত্তর-পূর্বাঞ্চলের দিকে অগ্রসর হচ্ছে। সোমবার সন্ধ্যা বা মঙ্গলবার ভোর নাগাদ এটি কান্টো অঞ্চলে অবস্থান করতে পারে বলে আবহাওয়ার পূর্বাভাসে বলা হয়েছে।
টেলিভিশন ফুটেজে দেখা যায়, মাকুরাজাকিতে একটি বাড়ির ছাদ ও দেয়াল ভেঙে পড়েছে এবং বিশাল বিশাল ঢেউ তীরে আছড়ে পড়ছে।
মাকুরাজাকির দুর্যোগ প্রতিরোধ কার্যালয়ের কর্মকর্তা নাওকি জোমোরি বলেন, স্থানীয় বাসিন্দাদের সতর্ক থাকতে অনুরোধ জানানো হয়েছে।
এনএইচকে টেলিভিশনের খবরে বলা হয়েছে, টাইফুন সংশ্লিষ্ট দুর্ঘটনায় এ পর্যন্ত কমপক্ষে ৪৫ জন আহত হয়েছে।
জাপানের কেন্দ্রস্থলের শিঝৌকা এলাকায় রোববার বিকেলে মাছ ধরার সময় তিন ব্যক্তি ঢেউয়ের তোড়ে ভেসে যায়। এর মধ্যে দুই জনকে অক্ষত উদ্ধার করা হয়েছে। তবে এখনও একজন নিখোঁজ রয়েছে বলে স্থানীয় পুলিশ জানিয়েছে।
আবহাওয়া সংস্থা দ্বীপপুঞ্জের বিস্তীর্ণ এলাকাজুড়ে বিশাল ঢেউ, ব্যাপক বৃষ্টিপাত, বন্যা ও ভূমিধসের সতর্কবানী করেছে।
জাপানের বিমান সংস্থা কমপক্ষে ৩শ’ ৭২ ফাইট বাতিল করেছে। এদিকে পশ্চিম জাপান রেলওয়ে জানিয়েছে, দিনের শেষদিকে কানসাই অঞ্চল ও জাপানের পশ্চিমাঞ্চলে সব লোকাল সার্ভিস স্থগিতের পরিকল্পনা রয়েছে।
উল্লেখ্য, মাত্র এক সপ্তাহ আগেও দেশটিতে একটি গ্রীষ্মমন্ডলীয় ঝড় আঘাত হেনেছিল। এতে ১১ জনের প্রাণহানি বা নিখোঁজ হয়।
এছাড়া দ্ইু সপ্তাহ আগে জাপানের মাউন্ট ওনতাকে আগ্নেয়গিরির অগ্ন্যুৎপাতের ঘটনায় কমপক্ষে ৫৫ জনের প্রাণহানি ঘটে।
সম্পর্কিত সংবাদ
শাহজাদপুর
শাহজাদপুরে গোসল করা নিয়ে দু'পক্ষের সংঘর্ষে আহত ১০
সিরাজগঞ্জের শাহজাদপুরে জলাশয়ে গোসল করাকে কেন্দ্র করে দুই পক্ষের সংঘর্ষে ১০ জন আহত হয়েছে। বেলাল প্রামানিক ও এলাকাবাসী সূ...
আন্তর্জাতিক
করোনায় আশার আলো দেখাচ্ছে ভারতের ভ্যাকসিন
ভারতের প্রথম সাম্ভব্য করোনাভ্যাকসিন কোভ্যাকসিন মানবশরীরে ট্রায়ালের জন্য ড্রাগ কন্ট্রোল জেনারেল অব ইন্ডিয়ার ছাড়পত্র পেল...
আন্তর্জাতিক
ভুমিহীন ভ্যানচালক হঠাৎ কোটিপতি
ভুমিহীন এক ভ্যানচালক হঠাৎ কোটিপতি।এমনি ঘটনা ঘটেছে ভ্যানচালক রমজান আলীর। মাত্র ৩০ টাকা...
দিনের বিশেষ নিউজ
বিষ্ময়কর এক ফল 'চালতা'
আবহমান গ্রাম বাংলার বিলুপ্তপ্রায় এক ফলের নাম চালতা! চালতা একটি বিষ্ময়কর ফল, যা তার অনন্য পুষ্টিগুণ এবং ঔষুধি গুণের জন্য
জাতীয়
শাহজাদপুরে বাবা-মায়ের কবরের পাশেই চিরনিদ্রায় শায়িত এমপি স্বপন
সিরাজগঞ্জ-৬ (শাহজাদপুর) আসনের সংসদ সদস্য ও সাবেক শিল্প উপমন্ত্রী বীর মুক্তিযোদ্ধা আলহাজ্ব হাসিবুর রহমান স্বপন সবাইকে শোক...
অর্থ-বাণিজ্য
প্রয়োজনে পশুর হাটের সংখ্যা কমিয়ে আনতে হবে : কাদের
আওয়ামী লীগের সাধারণ সম্পাদক এবং সড়ক পরিবহন ও সেতুমন্ত্রী ওবায়দুল কাদের বলেছেন, ঈদুল আজহা উপলক্ষে কোরবানির পশুরহাট সংক্র...
